楝科 Meliaceae 楝属 Melia
别名:苦楝树、金铃子、川楝子、森树、紫花树、楝树、苦楝、川楝
形态特征
生活型: 落叶乔木;
株: 高达30米,胸径1米;
叶: 二至三回奇数羽状复叶,长20-40厘米;小叶卵形、椭圆形或披针形,长3-7厘米,宽2-3厘米,先端渐尖,基部楔形或圆,具钝齿,幼时被星状毛,后脱落,侧脉12-16对;
花: 花芳香;花萼5深裂,裂片卵形或长圆状卵形;花瓣淡紫色,倒卵状匙形,长约1厘米,两面均被毛;花丝筒紫色,长7-8毫米,具10窄裂片,每裂片2-3齿裂,花药10,着生于裂片内侧:子房5-6室;
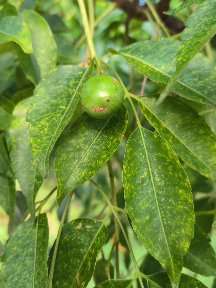
果: 核果球形或椭圆形,长1-2厘米,径0.8-1.5厘米;

图1 楝的果

图2 楝的叶

图3 楝整株
生态习性
国内产地: 黄河以南各省区,较常见;
国外分布: 广布于亚洲热带和亚热带地区,温带地区栽培;
生境: 生于低海拔旷野、路旁或疏林中,目前已广泛引为栽培;
物候期: 花期4-5月,果期10-11月;
功用价值
经济价值: 平原及低海拔丘陵区的良好造林树种,在村边路旁种植更为适宜。边材黄白色,心材黄色至红褐色,纹理粗而美,质轻软,有光泽,施工易,是家具、建筑、农具、舟车、乐器等良好用材;用鲜叶可灭钉螺和作农药,用根皮可驱蛔虫和钩虫,但有毒,用时要严遵医嘱,根皮粉调醋可治疥癣,用苦楝子做成油膏可治头癣;果核仁油可供制油漆、润滑油和肥皂
参考资料:中国植物志,iplant植物智,百度百科等
编辑:刘佳
审核:肖昌龙